一周趣闻:夏季频出怪人怪事 “黑暗料理”停不下来
中新网8月7日电 正值北半球暑期高温季节,全球多地进入“烧烤”模式,在高温的作用下,人的思考能力也会降低,于是各种怪人怪事轮番上演。本周小编就带各位看看,进入夏季后都发生了哪些怪事乌龙。
女子每天嚼口香糖累坏嘴 警察帮臭鼬过马路反被喷

现在已经进入了中伏天,有的人会选择喝冰镇饮料解渴,有的人则吃西瓜,或者干脆来根冰棍儿消暑降温。但英国利物浦有个奇女子却选择嚼口香糖,她每天居然可以咀嚼长达7小时!而过度的口部活动导致她的上下颚关节严重劳损,嘴巴更不能张开多于1厘米,目前只能通过手术在关节植入金属片才有所改善。

大家最能在夏季感受到的一点是,天气热了,脾气也会变得特别火爆,从而举止行为也会变得简单粗暴。这不,国外一名壮汉近日骑车出门时,去路被一辆停着的汽车挡住。但他没有使用联系车主挪车或绕道的常规方法,而是脑子一热,冲上前去,徒手将“挡路车”抬起,放到了旁边的空地上,随后潇洒的骑车离开。

有时候天气实在是太热了,别说人,动物都会受不了。近日,美国一名热心的警察,看到一只受惊吓的臭鼬被车流困在路中,于是伸出援手欲将其移至一个较安全的地方。但谁知这只臭鼬是不是热昏了头,不仅疯狂绕圈、逃窜,完全不愿意配合,甚至在警察叔叔触碰到它身体的那一剎那,喷出恶臭液体,臭得叔叔退到了好几米开外。
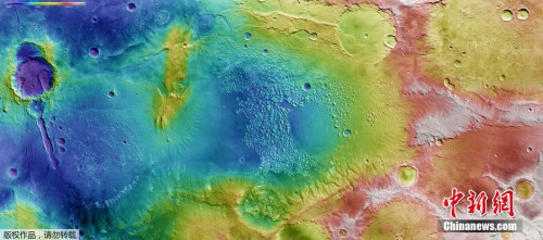
火星也玩“秘密花园”天空高挂“蓝月亮”

近日,天文界和地质界也频繁传趣事,前有地球找到“孪生兄弟”,现有火星玩起了“秘密花园”。本月3日,欧航局发布了火星南半球萨瑞南高地的色彩地形图。红白两色代表最高的地形,蓝色和紫色代表低洼处。咋眼看去,还真像最近流行的“秘密花园”。欧航局的工作人员是不是也受不了炎热的夏季,躲在空调房里涂色玩呢?

这边火星出尽了风头,月亮可不乐意了,为了吸引人们的目光,摇身一变成了“蓝月亮”。当地时间7月31日,在美国首都华盛顿,一轮满月升上天空。这就是所谓的“蓝月亮”,也就是一个月内出现的第二次满月。“蓝月亮”并不是因颜色而得名,其现象是天体运行自然规律所致。由于较为少见,天文学家便赋予它“蓝月亮”这个神秘而浪漫的名字。

人们总是喜欢仰望星空,幻想在宇宙中是怎样一番奇妙的景象。但有时,我们也应该低头好好看看属于我们自己的美丽星球。近日,南澳大利亚博物馆表示将展示一块长6厘米的蛋白石。博物馆表示,这块蛋白石价值73万美元,石头内部好像有火一样,可以看到各种不同颜色。随着光线改变,这块蛋白石色彩也会改变。大自然的精妙令人赞叹。
“黑暗料理”新成员:饺子味拉面 猩猩粪便做奶酪蛋糕
留心近期新闻的人们肯定知道,日本高温天气一周内热死25人,中暑送医人数破万的消息。不知道日本的朋友们是不是真的被热坏了,竟然连发两款全新的“黑暗料理”。

首先登场的这款料理叫“饺子味拉面”。饺子就是饺子,拉面就是拉面,这种一面两吃的创意令日本网友直呼“颠覆想象”。据悉,为在面条中体现出饺子的口感,该产品使用的油及调味料也是历时半年、经过多次配比才得以实现。其实,日本早前还曾推出过一款“拌饭吃的饺子”,就是把一种特制的饺子味酱料浇在米饭上,混合食用。

下面要介绍的这个料理可能就让人有点无法接受了。日本京都大学开发出了一种使用大猩猩肠内乳酸菌制成的奶酪蛋糕。而该乳酸菌是研究者在非洲等地发现的,采取自大猩猩的粪便,而后通过培养而成。据说,将乳酸菌制成酸奶后别有风味。

也许日本人觉得这些奇葩料理并不能宣泄内心的热火,于是还在近期运营了“盛暑暖炉列车”。这种列车由于加装了暖炉,车内温度会升至让温度计爆表的50度。上车的乘客纷纷惊叹“太热了”、“简直像在蒸桑拿”,但大家仍汗流浃背地安静欣赏车内播放的民乐。简直是破罐子破摔了。(完)
>相关新闻:
>国际新闻精选:





















